1.ハンドルネーム: 釣好き 様
2.釣行日時: 2026年4月28日
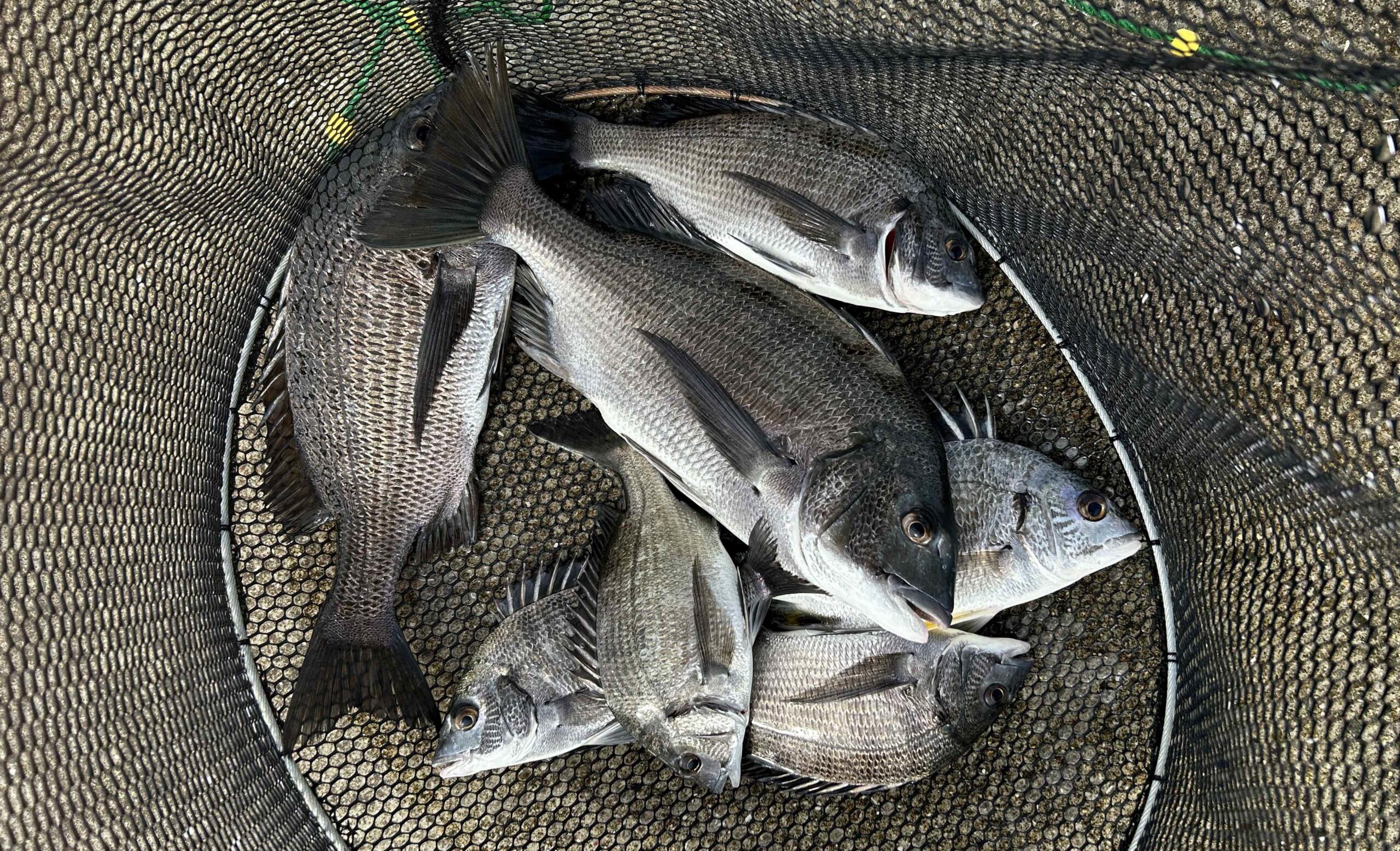
3.場所(県/釣り場名): 和歌山県/中紀方面 堤防

4.使用エサ:
【ダンゴエサ】 米糠、 砂、 押麦、 細びきさなぎ、 ニュー活さなぎミンチ激荒、 アミエビ、 チヌパワー:締めに適量
【付けエサ】 くわせオキアミスーパーハード(L)、 活丸さなぎ、 生オキアミ、 ニュー活さなぎミンチ激荒のコーン


5.使用タックル: 竿:チヌ竿1.2号-53、 リール:スピニングリールLBD、 道糸:2.5号、 ハリス:1.75号2.5m、 ハリ:チヌ針2~3号、 ウキ:自作寝ウキ、自作自立浮き、 タナ:底、 オモリ:なし~BB
6.当日のご感想: 夜明けから頑張ってましたが、午後から沢山釣れて嬉しかったです。

